首页
走进涞源
新闻动态
政府信息公开
政务服务
公众互动
投资涞源
旅游观光
站内搜索
当前位置:
首页
>
行政执法公示
> 详细信息
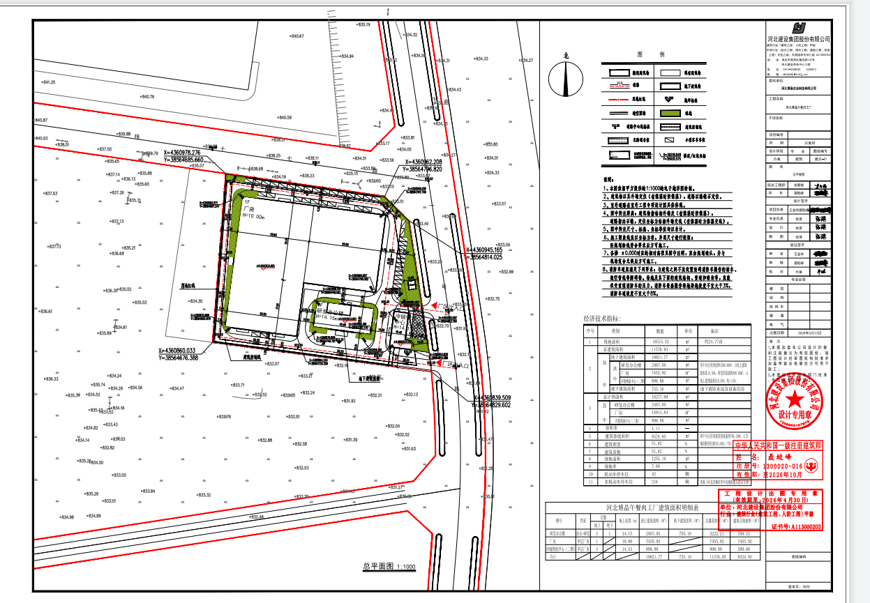
河北博晶农业科技有限公司年产1万吨午餐肉食品加工项目建设工程规划许可证核发
事后公开
发文时间:2025-07-22 16:52:36 浏览次数:
95
打印本页
加入收藏